Le citronnier, symbole de douceur de vivre et de parfums enivrants, est l'agrume de prédilection pour embellir nos jardins et nos intérieurs. Des fruits aux zestes acidulés aux fleurs blanches d'une fragrance exquise, cet arbuste persistant, bien que souvent épineux, se prête merveilleusement à la culture en pot, offrant ainsi la possibilité de profiter de ses bienfaits au-delà des régions traditionnellement dédiées aux agrumes. La culture en bac est une solution idéale pour celles et ceux qui résident dans des zones où le climat est moins clément, permettant de protéger cet arbre fruitier des rigueurs de l'hiver tout en profitant de sa présence ornementale et productive.

Choisir la Bonne Variété pour la Culture en Pot
Le choix de la variété est une étape cruciale pour assurer le succès de votre citronnier en pot. Si le Citrus limon, plus communément appelé citronnier des 4 saisons, est la référence la plus répandue, avec une production de fruits s'étalant sur huit mois, d'autres cultivars se distinguent par leurs aptitudes à la culture en conteneur.
Parmi ceux-ci, le citronnier 'Meyer' (Citrus x meyeri) se révèle particulièrement adapté. Son port plus compact et sa croissance lente en font un candidat idéal pour la culture en pot, où il se développera de manière plus raisonnable qu'en pleine terre. Ses fruits, d'une teinte jaune/orangée à maturité, arborent une peau lisse et fine, abritant une pulpe juteuse et parfumée, dont l'acidité est notablement moins prononcée que celle des citrons jaunes classiques. Le feuillage persistant d'un vert lustré, l'absence d'épines sur ses tiges et la délicieuse fragrance de ses fleurs constituent des atouts indéniables pour cette variété très prisée. Le citronnier 'Meyer' est d'ailleurs surnommé "citronnier des 4 saisons" car il peut produire des fruits près de 8 mois sur 12.
Une autre option intrigante est le citronnier caviar (Citrus australasica), originaire d'Australie. Ses fruits, de forme allongée et rugueux, changent de couleur du vert au jaune, voire au brun. Leur particularité réside dans leur pulpe composée de petites perles croquantes, disponibles en jaune, vert, orange ou rose, offrant une saveur agréablement parfumée qui a séduit les grands chefs pour son côté chic et original.
Le Citrus limonia ‘Osbeck rouge’, ou citronnier lime rouge ‘Osbeck’, propose des fruits acidulés originaux, de couleur rouge-orangé, parfaits pour la confection de jus ou de limonades rafraîchissantes.
Il est important de noter que la plupart des agrumes, y compris les citronniers, requièrent une température hivernale ne descendant pas en dessous de 5°C. La température idéale pour un citronnier se situe entre 8 et 12°C. Si vous recherchez une alternative pour une culture en intérieur chauffé, le calamondin (Citrus mitis ou Citrus madurensis), aussi appelé oranger nain ou oranger d'appartement, constitue une excellente option, car il tolère mieux les conditions de vie en pièce chauffée.

Plantation et Substrat : Les Fondations d'une Bonne Culture
La réussite de la culture d'un citronnier en pot repose en grande partie sur la qualité du substrat et la méthode de plantation. L'objectif est de recréer un environnement propice à la santé des racines, qui sont particulièrement sensibles aux excès d'eau.
Pour ce faire, le choix du pot est primordial. Optez pour un contenant percé en son fond pour garantir une évacuation efficace de l'eau. Une couche épaisse de billes d'argile ou de graviers au fond du pot favorisera un drainage optimal, évitant ainsi que les racines ne baignent dans l'humidité stagnante. Les pots en plastique, étant imperméables, peuvent parfois entraîner une asphyxie des racines ; il est donc judicieux de privilégier des matériaux plus poreux ou de s'assurer d'un drainage impeccable.
Le substrat idéal pour un citronnier en pot doit être bien drainant, riche, frais et non calcaire. Un mélange "Spécial agrumes" du commerce constitue une excellente base. Vous pouvez l'améliorer en y ajoutant de la terre de jardin, un peu de sable de rivière et du compost bien décomposé, surtout si votre terre locale est lourde et imperméable. Cette combinaison assure à la fois une bonne aération des racines et un apport suffisant en nutriments.
Lors de la plantation, il est essentiel de ne pas recouvrir le point de greffe, qui doit impérativement dépasser du niveau du sol. Après avoir positionné délicatement l'arbuste dans son nouveau pot, complétez avec le substrat, tassez légèrement puis arrosez généreusement pour que la terre se mette en place autour des racines.
Si la plantation en pleine terre est envisagée dans les régions où le climat le permet (températures ne descendant pas en dessous de -8°C, voire -10°C pour de courtes périodes dans un terrain très drainé et abrité), les mêmes principes de sol bien drainé, riche et non calcaire s'appliquent. Le mélange de sable de rivière et de compost bien décomposé à la terre du jardin sera également bénéfique. L'installation se fait de préférence au printemps, lorsque tout risque de gel est écarté, dans un emplacement en plein soleil et abrité des vents froids.

Arrosage et Fertilisation : Nourrir et Hydrater Votre Agrume
L'arrosage et la fertilisation sont deux piliers fondamentaux pour assurer la croissance, la floraison et la fructification de votre citronnier en pot. Ces agrumes, bien qu'originaires de régions chaudes, ont des besoins spécifiques qu'il faut apprendre à respecter.
En période de croissance active, c'est-à-dire du printemps à la fin de l'été, le citronnier en pot a besoin d'un arrosage très régulier et copieux. L'objectif est de maintenir le substrat constamment frais en profondeur, sans jamais le laisser sécher complètement entre deux arrosages. Il est conseillé de vérifier l'humidité du sol en enfonçant un doigt sur quelques centimètres. Si la surface est sèche, il est temps d'arroser. La vigilance est particulièrement de mise durant les périodes de sécheresse et de canicule, où le citronnier peut souffrir rapidement par temps chaud, sec et venteux. Dans ces conditions, un arrosage quasi quotidien peut s'avérer nécessaire, mais toujours sans excès, en veillant à ne pas laisser d'eau stagner dans la soucoupe. Le symptôme d'un besoin d'eau se manifeste souvent par un ramollissement ou un pendouillement des feuilles.
À l'inverse, durant la période hivernale, l'arrosage doit être considérablement espacé. Laissez sécher le substrat sur environ 3 cm en surface avant d'arroser à nouveau. Les agrumes n'apprécient pas d'avoir les racines dans l'eau, et un excès d'humidité en hiver peut entraîner des maladies comme le pourrissement des racines.
La fertilisation joue un rôle crucial dans l'apport des nutriments essentiels à la santé et à la productivité de votre citronnier. En pot, l'arbuste ne peut pas puiser dans le sol les éléments nutritifs dont il a besoin ; il dépend donc entièrement de ce que vous lui apportez. De mars à octobre, période de végétation active, il est recommandé d'utiliser un engrais "Spécial agrume" bio, en suivant scrupuleusement le dosage préconisé sur l'emballage, généralement une fois par mois. Certains jardiniers conseillent également de griffer un peu de poudre de corne broyée et de cendres de cheminée à son pied en début de printemps et en automne.
Il est important de noter que les feuilles peuvent tomber suite à un stress hydrique, qu'il soit dû à un arrosage excessif ou insuffisant, ou à des changements brusques de conditions de culture (température, luminosité). Si le citronnier est resté asséché pendant plusieurs jours, il risque de perdre ses feuilles au moment où il recevra à nouveau de l'eau.
Comment ENTRETENIR les AGRUMES en pot ?
Taille et Hivernage : Préserver Votre Agrume des Saisons
La taille et l'hivernage sont deux pratiques essentielles pour assurer la longévité et la productivité de votre citronnier en pot, en le protégeant des aléas climatiques et en favorisant sa vigueur.
La Taille : Structurer et Aérer l'Arbuste
La taille du citronnier en pot vise principalement à contrôler sa croissance, à maintenir un port esthétique et à favoriser la pénétration de la lumière et de l'air au cœur de l'arbuste. Il n'est pas nécessaire de tailler de manière drastique, mais quelques gestes simples permettent d'optimiser sa santé.
En fin d'hiver, il convient de supprimer le bois mort et les rameaux qui se croisent ou qui poussent vers l'intérieur, afin de dégager le centre de l'arbre. Cela permet une meilleure circulation de l'air et une exposition accrue à la lumière, favorisant ainsi la floraison et la fructification. Au printemps, il est recommandé de pincer les extrémités des jeunes pousses. Cette opération, qui consiste à raccourcir les nouvelles pousses d'environ moitié, stimule la ramification et assure un port plus compact et buissonnant.
Il est possible de régénérer un vieil agrume négligé ou au port déséquilibré en le taillant très sévèrement au printemps. Cette intervention, bien que radicale, permet de repartir sur de nouvelles bases et de retrouver une vigueur perdue.

L'Hivernage : Protéger du Froid
Le citronnier, originaire de régions aux hivers doux, ne supporte généralement pas le gel. La culture en pot offre l'avantage de pouvoir déplacer l'arbuste à l'abri lors des périodes froides.
Lorsque les températures commencent à chuter et que les premiers froids sont annoncés, il est impératif de rentrer votre citronnier. L'emplacement idéal pour l'hivernage est un local frais et lumineux, tel qu'une véranda non chauffée, une serre froide ou un garage lumineux. La température idéale se situe entre 8 et 12°C. Évitez absolument de conserver votre citronnier dans une pièce chauffée, car la chaleur excessive, combinée à un air sec, peut lui être très néfaste et entraîner la chute des feuilles.
Si un coup de froid est annoncé et que votre citronnier reste en extérieur (dans les régions les plus clémentes), protégez ses parties aériennes avec un voile d'hivernage et étalez un paillage épais à son pied pour isoler les racines.
En pot, le citronnier doit bénéficier d'une période de repos avec des températures fraîches. Cela lui est nécessaire pour préparer la floraison et la fructification de l'année suivante. L'arrosage doit être réduit pendant cette période, en laissant le substrat sécher en surface avant d'arroser à nouveau, et ce, avec parcimonie.

Maladies et Parasites : Prévenir et Soigner Votre Citronnier
Bien que le citronnier 'Meyer' soit réputé pour sa bonne résistance aux maladies et parasites, aucun agrume n'est totalement à l'abri. Une surveillance régulière et des interventions appropriées permettent de maintenir votre plante en bonne santé.
Les Maladies Courantes
Parmi les maladies qui peuvent affecter les citronniers, la moniliose est l'une des plus redoutées, provoquant le pourrissement des fruits directement sur l'arbuste. En cas d'attaque, un traitement à la bouillie bordelaise peut être efficace. Il est également crucial de prévenir les maladies racinaires, souvent liées à un excès d'humidité dans le sol. Un bon drainage et un arrosage raisonné sont les meilleures parades.
Une autre maladie fréquente chez les agrumes est la tristezza, un virus particulièrement dévastateur. Il est intéressant de noter que le citronnier 'Meyer' a acquis une partie de sa renommée commerciale suite à sa résistance remarquée à une épidémie de tristeza dans les années 1960.
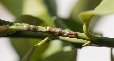
Les Parasites à Surveiller
Les attaques de parasites comme les cochenilles et les pucerons peuvent affaiblir le citronnier. Les cochenilles se manifestent par de petites masses cotonneuses ou cireuses sur les tiges et les feuilles, tandis que les pucerons se regroupent sur les jeunes pousses et les boutons floraux, s'en nourrissant et provoquant leur déformation.
En cas d'infestation légère, un nettoyage manuel des parasites avec un chiffon humide ou une éponge imbibée d'eau savonneuse peut suffire. Pour des infestations plus importantes, des insecticides naturels à base d'huile de neem ou de savon noir peuvent être utilisés. Il est important d'agir rapidement pour éviter que le problème ne s'aggrave.
La présence d'un feuillage sain et brillant, de fleurs odorantes et de fruits bien formés est le meilleur indicateur de la bonne santé de votre citronnier. Une observation attentive et une réaction prompte face aux premiers signes de faiblesse sont les clés pour prévenir les problèmes majeurs.

Le Citronnier en Pot : Un Ornement Vivant et Productif
Cultiver un citronnier en pot transcende la simple jardinerie ; c'est s'offrir un morceau de Méditerranée, une source de parfums délicats et de fruits gorgés de soleil, tout au long de l'année, ou presque. Son feuillage persistant d'un vert éclatant apporte une touche de fraîcheur, tandis que ses fleurs, d'une blancheur immaculée, embaument l'air de leur fragrance enivrante.
Le citronnier en pot est un véritable atout pour décorer les extérieurs comme les intérieurs. Sur une terrasse, un balcon ou près d'une baie vitrée, il crée une atmosphère chaleureuse et méditerranéenne. Sa présence peut égayer un jardin d'hiver ou une véranda, transformant ces espaces en véritables havres de paix parfumés.
Au-delà de son aspect ornemental, le citronnier en pot est une source de plaisir gustatif. Les citrons qu'il produit sont non seulement un ingrédient précieux en cuisine, mais leur simple présence sur l'arbre est une invitation à la dégustation. Les variétés dites "des 4 saisons" offrent la possibilité de récolter des fruits pendant une grande partie de l'année, même si leur mûrissement complet peut prendre jusqu'à un an.
Le succès de la culture du citronnier en pot réside dans la compréhension de ses besoins spécifiques : un sol bien drainé, un arrosage adapté, une fertilisation régulière et une protection contre le froid en hiver. En respectant ces principes, vous pourrez profiter de la beauté et de la générosité de cet agrume exceptionnel pendant de nombreuses années.
Le citronnier, Citrus limon, trouve son nom scientifique du latin citrus, désignant à l'origine le cédratier (Citrus medica). Cet arbuste appartient à la famille des Rutacées, tout comme l'oranger. Ses feuilles persistantes, d'un vert luisant, sont plus imposantes que celles de l'oranger. À l'instar des autres espèces de cette famille, les feuilles du citronnier renferment des glandes contenant des huiles essentielles, responsables de leur parfum caractéristique. Ses fleurs, d'un blanc ou d'un rose délicat, sont très odorantes, mais seul un faible pourcentage d'entre elles aboutit à la formation d'un fruit. D'un point de vue botanique, le citron est une baie, pouvant atteindre des dimensions considérables, de 8 à 20 cm de longueur pour 5 à 12 cm de diamètre. Son zeste est également riche en glandes d'huile essentielle. En culture en pot, le citronnier peut atteindre une hauteur variant de 1 à 3 mètres.
Le prix d'un citronnier peut varier considérablement en fonction de sa variété, de sa taille et de son âge. Il est possible de trouver des plants de Citrus limon en pot de 5 litres, mesurant entre 100 et 120 cm, ou des spécimens plus imposants en pots de 15 litres, dépassant les 170 cm. Des variétés plus spécifiques comme le Citrus junos (Yuzu) ou le Citrus limonia ‘Osbeck rouge’ sont également disponibles, souvent à des prix plus élevés en raison de leur caractère plus exotique ou de leur demande spécifique. Le Poncirus trifoliata, un citronnier épineux, est également proposé en pot de 3L/4L.
Le succès du citronnier 'Meyer' comme culture en pot est tel qu'il est parfois confondu avec d'autres agrumes, comme l'orange amère ou le calamondin, en raison de son port parfois retombant et de ses fruits moins acides. L'origine génétique de ce citronnier hybride, originaire de Chine, reste un sujet de débat. Si certains penchent pour une hybridation naturelle entre la mandarine et le citron, d'autres suggèrent une combinaison entre l'orange et le citron. Des recherches récentes, notamment celles menées par Franck Curk de l'INRA en Corse, ont mis en évidence une structure nucléaire impliquant trois taxons ancestraux : le mandarinier (C. reticulata), le pamplemoussier (C. maxima) et le cédratier (C. medica). Cependant, l'identification précise du parent femelle à l'origine de cet hybride est encore en cours. Importé de Chine vers les États-Unis par Franck Meyer en 1908, le citronnier 'Meyer' a connu un essor commercial majeur en 1960, lorsqu'un pépiniériste a découvert sa résistance au virus de la tristezza, une maladie dévastatrice pour les agrumes.
L'histoire du citronnier est riche et s'étend bien au-delà de la Chine. On retrouve des traces de sa culture dans la vallée du Cachemire, où il était connu sous le nom de « limung ». Les marchands arabes l'ont ensuite diffusé autour de la Méditerranée, où il fut nommé « laymûn ». Le climat de certaines régions, comme Menton sur la Côte d'Azur, s'est avéré particulièrement propice à sa culture, au point qu'il y est devenu une variété botanique reconnue, appréciée pour ses fruits conservant beaucoup de jus et constituant un patrimoine régional. La fructification, du stade de fleur à fruit mûr, est un processus assez long, nécessitant près d'une année complète. Les variétés dites "des 4 saisons" ne produisent généralement pas de fruits en plein été, mais plutôt de janvier à mars, ainsi qu'à l'automne et au début de l'hiver dans l'hémisphère nord. Dans les régions très douces, où le gel est quasi inexistant ou de très courte durée, le citronnier peut être cultivé en pleine terre.
La culture du citronnier en pot est une excellente alternative pour profiter de ses atouts dans la plupart des régions. En pot, le citronnier peut atteindre une hauteur de 1 à 3 mètres. Il est crucial de se souvenir que le citronnier en pot dépend entièrement de vous pour ses nutriments. Le choix d'un terreau de qualité, éventuellement mélangé à de la terre de jardin, du sable de rivière et du compost bien décomposé, est donc primordial. Le rempotage, effectué tous les 2 à 3 ans au printemps, permet de renouveler le substrat et d'apporter de nouveaux éléments nutritifs, favorisant ainsi une meilleure récolte de fruits. Une opération de surfaçage, consistant à gratter la surface du terreau et à le remplacer par du nouveau, peut être réalisée les années où le rempotage complet n'est pas nécessaire. Les racines du citronnier n'apprécient pas la concurrence racinaire, il est donc préférable d'éviter de planter d'autres espèces dans le même pot. Une couche de paillage peut néanmoins être bénéfique pour maintenir la fraîcheur du sol et espacer légèrement les arrosages.
Le citronnier est sensible aux changements brusques de conditions de culture, tels que des variations rapides de température ou de luminosité. Ces changements peuvent provoquer la chute des feuilles. De même, un stress hydrique, qu'il soit dû à un excès ou un manque d'eau, peut entraîner ce phénomène. Si le citronnier est resté asséché pendant plusieurs jours, il risque de perdre ses feuilles au moment de la reprise de l'arrosage.
D'autres variétés d'agrumes, offrant des expériences gustatives et visuelles différentes, méritent également d'être explorées, comme l'oranger, le calamondin, le clémentinier, le Yuzu ou le Kumquat, ce dernier étant particulièrement facile à cultiver. Le citronnier, avec son beau feuillage et sa floraison parfumée, a le pouvoir d'égayer les intérieurs, d'autant plus qu'il offre des citrons juteux tout au long de l'année. Son incapacité à supporter le gel rend sa culture en pleine terre impossible dans de nombreuses régions françaises, faisant de la culture en pot une solution privilégiée pour simplifier son hivernage tout en décorant les espaces intérieurs et les vérandas.
tags: #citronnier #sans #epine #en #pot